Super Typhoon Yagi has caused substantial insured losses, estimated at 3.5 bn yuan ($500 mn) in China, according to Guy Carpenter, a reinsurance broker. The storm also set a record for strength in Vietnam, according to BestWire.
By September 16, China’s insurance industry had received 92,000 claims linked to Yagi, with 1.48 bn yuan in payouts, as reported by China Banking and Insurance News.
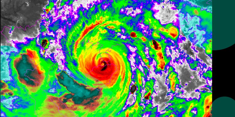
Yagi, the 11th named tropical cyclone of 2024 in the Western North Pacific, reached Category 4 intensity. It is the strongest typhoon on record to strike Vietnam and the second strongest to hit China.
Guy Carpenter highlighted the damage as of September 10. In China, four regions were severely affected: Wenchang City, Haikou City, Chengmai County, and Lingao County, according to the Hainan Province Department of Emergency Management.

Yagi made landfall in Wenchang City, causing direct economic losses of 32.7 bn yuan. More than 25,000 houses were damaged, and many roads were blocked by fallen trees.
In Haikou City, the storm caused direct economic losses of 26.32 bn yuan, damaging over 32,000 houses, with 401 homes collapsing.
In Vietnam, losses have reached 40 trillion dong ($1.62 bn) in the northern region by September 16, per Vietnam’s Minister of Planning and Investment, Nguyen Chi Dung. Haiphong City, an industrial hub, recorded 11 trillion dong in damages. Across northern Vietnam, 232,000 houses were damaged.
These losses may reduce Vietnam’s 2024 GDP growth by 0.15 percentage points from the earlier 7% target. Growth in Q3 and Q4 may decline by 0.35% and 0.22%, respectively.
Aon previously reported that economic losses from Yagi could reach billions of dollars after it swept through China, the Philippines, and Vietnam.
Aon noted that Yagi could become one of the most expensive typhoon events since 2000, given the extensive damage to tens of thousands of structures.
Yagi impacted Southeast Asia between September 1 and 8, with losses rising quickly in the following days.
Typhoon Yagi, known in the Philippines as Severe Tropical Storm Enteng, was a deadly and extremely destructive tropical cyclone which impacted Southeast Asia and South China in early September 2024.
Yagi, which means goat or the constellation of Capricornus in Japanese, was the eleventh named storm, the first violent typhoon of the season, and the first Category 5 storm of the annual typhoon season. It was one of the most intense typhoons ever to strike Northern Vietnam, the strongest typhoon to strike Hainan during the meteorological autumn, and the strongest since Rammasun in 2014.
It is one of the four Category 5 super typhoons recorded in the South China Sea, alongside Pamela in 1954, Rammasun in 2014 and Rai in 2021.
FAQ
Super Typhoon Yagi caused estimated insured losses of 3.5 bn yuan in China.
As of September 16, 92,000 claims were reported in China, with 1.48 bn yuan in payouts.
In northern Vietnam, the typhoon caused 40 trillion dong ($1.62 bn) in losses, with Haiphong City suffering 11 trillion dong in damages.
Wenchang City, Haikou City, Chengmai County, and Lingao County in Hainan Province were severely impacted by Yagi.
Yagi’s impact is expected to reduce Vietnam’s GDP growth by 0.15 percentage points, with third- and fourth-quarter growth projected to decline by 0.35% and 0.22%, respectively.
by 





