Typhoon Nanmadol inflicted $912 mn losses on the Japanese insurance industry
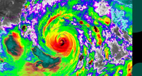
Typhoon Nanmadol has inflicted $912 mn in property losses on the Japanese insurance industry, according to PERILS’ second industry loss estimate
Typhoon Nanmadol has inflicted $912 mn in property losses on the Japanese insurance industry, according to PERILS’ second industry loss estimate
Dai-Ichi Life Holdings has made an offer to acquire shares of pet insurance provider ipet Holdings, with the intention of making it a wholly-owned subsidiary
AM Best has maintained its stable market segment outlook on the Japan non-life insurance segment given recent profitable underwriting performance
Hurricane Ian could lead to $50bn of insured industry losses, with a likelihood of seeing global insured losses of more than $100bn in 2022
30 insurers that have paid an estimated $39 mn in lost cargo claims, along with cargo owners without insurance, asked court to seize Japanese vessel ONE Apus
Tokio Marine has joined forces with Arbor Ventures, a fintech-focused venture capital firm, to accelerate digital transformation and foster innovation
Mobility data company Wejo announced completion of a self-arranged $15.9 million private investment in public equity (PIPE) investment in Wejo